Новости раздела

В Казани на две недели закроют улицу Парижской Коммуны

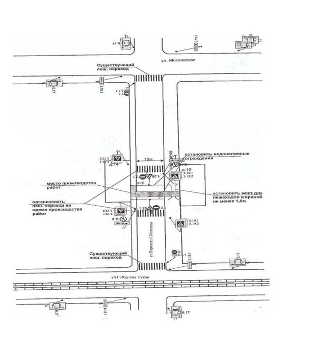
Дорожники Казани на две недели перекроют улицу Парижской Коммуны в центре города. Движение по ней будет ограничено с 1 по 15 августа.

На эти даты запланирован ремонт тепловых сетей, сообщается на сайте мэрии Казани.

Согласно распоряжению исполкома татарстанской столицы, на участке от дома №14 до дома №19 должно быть прекращено движение транспорта и пешеходов.

Ниже приводится схема организации движения на этот период:

Подписывайтесь на телеграм-канал, группу «ВКонтакте» и страницу в «Одноклассниках» «Реального времени». Ежедневные видео на Rutube и «Дзене».

ОбществоИнфраструктура Татарстан

Новости партнеров